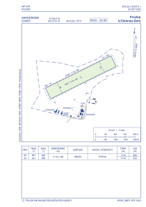
EPZP - Przylep K/Zielonej Gory
Located in , Poland
ICAO - EPZP, IATA -
Data provided by AirmateGeneral information
Coordinates: N51°58'47" E15°27'51"
Elevation is 253 feet MSL.
Magnetic variation is 3.0000° East View others Airports in Lubusz
Operational data
Special qualification required
Current time UTC:
Current local time:
Communications frequencies: [VIEW]
Runways:
| RWY identifier | QFU | Length (ft) | Width (ft) | Surface | LDA (ft) |
| 06 | 0° | 2362 | 591 | UNK | |
| 24 | 0° | 2362 | 591 | UNK |
Airport contact information
Address: Poland



