KDPA - Dupage
Located in Chicago/West Chicago, United States
ICAO - DPA, IATA - DPA
Data provided by AirmateGeneral information
Coordinates: N41°54'25" W88°14'53"
Elevation is 758 feet MSL.
Magnetic variation is -01° East View others Airports in Illinois
Operational data
Special qualification required
Current time UTC:
Current local time:
Communications frequencies: [VIEW]
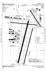
Runways:
| RWY identifier | QFU | Length (ft) | Width (ft) | Surface | LDA (ft) |
| 02L | 14° | 7571 | 150 | CONC | |
| 20R | 194° | 7571 | 150 | CONC | |
| 02R | 14° | 6451 | 100 | CONC | |
| 20L | 194° | 6451 | 100 | CONC | |
| 10 | 96° | 4750 | 75 | ASPH | |
| 28 | 276° | 4750 | 75 | ASPH | |
| 15 | 148° | 3399 | 100 | ASPH | |
| 33 | 328° | 3399 | 100 | ASPH |
Airport contact information
Address: Chicago/West Chicago United States
Other aviation service providers
Flight schools
Illinois Aviation Academy, Inc.
Illinois Aviation Academy, Inc.
scottm@illinoisaviation.com+1(630)513-2224
Atp Flight School (800-All-Atps)
Atp Flight School (800-All-Atps)
info@atpflightschool.com+1(800)255-2877



