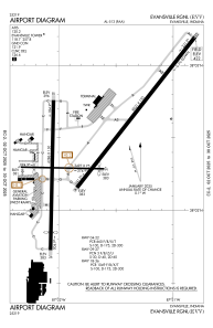
KEVV - Evansville Rgnl
Located in Evansville, United States
ICAO - EVV, IATA - EVV
Data provided by AirmateGeneral information
Coordinates: N38°2'27" W87°31'43"
Elevation is 421 feet MSL.
Magnetic variation is -03° East View others Airports in Indiana
Operational data
Special qualification required
Current time UTC:
Current local time:
Communications frequencies: [VIEW]
Runways:
| RWY identifier | QFU | Length (ft) | Width (ft) | Surface | LDA (ft) |
| 04 | 38° | 8021 | 150 | ASPH | 8021 |
| 22 | 218° | 8021 | 150 | ASPH | 8021 |
| 09 | 91° | 3497 | 75 | ASPH | 2968 |
| 27 | 271° | 3497 | 75 | ASPH | 3279 |
| 18 | 181° | 6286 | 150 | ASPH | 5497 |
| 36 | 1° | 6286 | 150 | ASPH | 5497 |
Airport contact information
Address: Evansville United States



