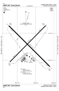
KJMS - Jamestown Rgnl
Located in Jamestown, United States
ICAO - JMS, IATA - JMS
Data provided by AirmateGeneral information
Coordinates: N46°55'47" W98°40'41"
Elevation is 1499 feet MSL.
Magnetic variation is 04° East View others Airports in North Dakota
Operational data
Special qualification required
Current time UTC:
Current local time:
Communications frequencies: [VIEW]
Runways:
| RWY identifier | QFU | Length (ft) | Width (ft) | Surface | LDA (ft) |
| 04 | 45° | 5750 | 75 | ASPH | 5750 |
| 22 | 225° | 5750 | 75 | ASPH | 5750 |
| 13 | 135° | 6502 | 100 | ASPH | 6502 |
| 31 | 315° | 6502 | 100 | ASPH | 6502 |
Airport contact information
Address: Jamestown United States



