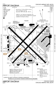
KMDW - Chicago Midway Intl
Located in Chicago, United States
ICAO - MDW, IATA - MDW
Data provided by AirmateGeneral information
Coordinates: N41°47'9" W87°45'9"
Elevation is 619 feet MSL.
Magnetic variation is -04° East View others Airports in Illinois
Operational data
Special qualification required
Current time UTC:
Current local time:
Communications frequencies: [VIEW]
Runways:
| RWY identifier | QFU | Length (ft) | Width (ft) | Surface | LDA (ft) |
| 04L | 43° | 5507 | 150 | ASPH | 4749 |
| 22R | 223° | 5507 | 150 | ASPH | 4629 |
| 04R | 43° | 6445 | 150 | OTHER | 5928 |
| 22L | 223° | 6445 | 150 | OTHER | 5812 |
| 13C | 134° | 6522 | 150 | OTHER | 6059 |
| 31C | 314° | 6522 | 150 | OTHER | 5826 |
| 13L | 134° | 5141 | 150 | OTHER | |
| 31R | 314° | 5141 | 150 | OTHER | |
| 13R | 134° | 3859 | 60 | ASPH | |
| 31L | 314° | 3859 | 60 | ASPH |
Airport contact information
Address: Chicago United States



