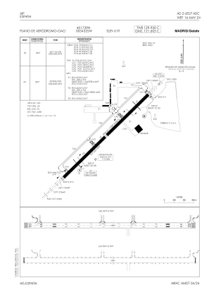
LEGT - Madrid/Getafe
Situé à Madrid, Spain
ICAO - LEGT, IATA -
Données fournies par AirmateInformation générale
Coordonnées: N40°17'39" W3°43'25"
Élévation : 2030 feet MSL.
Variation magnétique : 0° East Voir autres Aéroports à Madrid
Données opérationnelles
Special qualification required
Heure actuelle UTC:
Heure actuelle locale:
Fréquences de communication: [VIEW]
Pistes:
| Identifiant RWY | QFU | Longueur (ft) | Largeur (ft) | Surface | LDA (ft) |
| 05 | 45° | 8127 | 197 | ASPH | 8127 |
| 23 | 225° | 8127 | 197 | ASPH | 8127 |
Coordonnées de l'aéroport
Adresse: Madrid Spain



