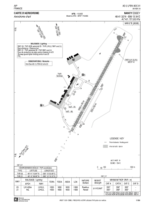
LFSN - Nancy Essey
Located in Nancy, France
ICAO - LFSN, IATA - ENC
Data provided by AirmateGeneral information
Coordinates: N48°41'32" E6°13'34"
Elevation is 757 feet MSL.
Magnetic variation is 2.15° East View others Airports in Lorraine
Operational data
Special qualification required
Current time UTC:
Current local time:
Communications frequencies: [VIEW]
Runways:
| RWY identifier | QFU | Length (ft) | Width (ft) | Surface | LDA (ft) |
| 03R | 28° | 1804 | 164 | GRASS | 1804 |
| 21L | 208° | 1804 | 164 | GRASS | 1804 |
| 03 | 28° | 5249 | 131 | ASPH | 5249 |
| 21 | 208° | 5249 | 131 | ASPH | 5249 |
Airport contact information
Address: Nancy France



