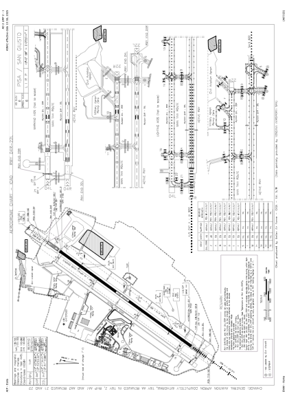
LIRP - Pisa/S.Giusto
Located in Pisa, Italy
ICAO - LIRP, IATA - PSA
Data provided by AirmateGeneral information
Coordinates: N43°40'58" E10°23'44"
Elevation is 5 feet MSL.
View others Airports in Tuscany
Operational data
Special qualification required
Current time UTC:
Current local time:
Communications frequencies: [VIEW]
Runways:
| RWY identifier | QFU | Length (ft) | Width (ft) | Surface | LDA (ft) |
| 04L | 37° | 8976 | 148 | ASP | |
| 22R | 217° | 8976 | 148 | ASP | |
| 04R | 37° | 9816 | 148 | ASP | |
| 22L | 217° | 9816 | 148 | ASP |
Airport contact information
Address: Pisa Italy



