LPPN - Proenca-A-Nova
Located in Proenca-A-Nova, Portugal
ICAO - , IATA -
Data provided by AirmateGeneral information
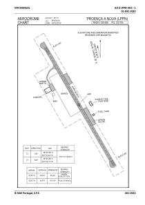
Coordinates: N39°43'52" W7°52'29"
Elevation is 1335 feet MSL.
Magnetic variation is -002.6667° East View others Airports in Portalegre District
Operational data
Special qualification required
Current time UTC:
Current local time:
Communications frequencies: [VIEW]
Runways:
| RWY identifier | QFU | Length (ft) | Width (ft) | Surface | LDA (ft) |
| 13 | 0° | 2700 | 62 | UNK | |
| 31 | 0° | 2700 | 62 | UNK |
Airport contact information
Address: Proenca-A-Nova Portugal



