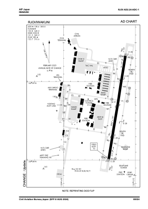
RJOI - Iwakuni
Located in Iwakuni, Japan
ICAO - RJOI, IATA - IWK
Data provided by AirmateGeneral information
Coordinates: N34°8'42" E132°14'49"
Elevation is 10 feet MSL.
View others Airports in Hiroshima Prefecture
Operational data
Special qualification required
Current time UTC:
Current local time:
Communications frequencies: [VIEW]
Runways:
| RWY identifier | QFU | Length (ft) | Width (ft) | Surface | LDA (ft) |
| 02 | 9° | 8007 | 197 | CON | |
| 20 | 189° | 8007 | 197 | CON |
Airport contact information
Address: Iwakuni Japan



