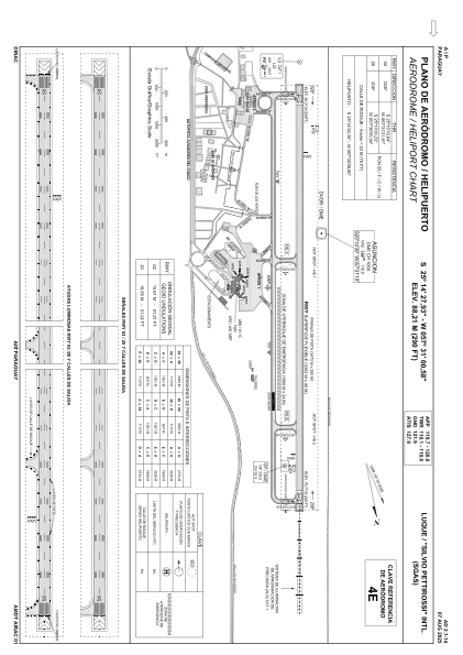
SGAS - Luque/Silvio Pettirossi Intl
Located in Asuncion, Paraguay
ICAO - SGAS, IATA - ASU
Data provided by AirmateGeneral information
Coordinates: S25°14'28" W57°31'1"
Elevation is 290 feet MSL.
Magnetic variation is -15° East View others Airports in Central Department
Operational data
Special qualification required
Current time UTC:
Current local time:
Communications frequencies: [VIEW]
Runways:
| RWY identifier | QFU | Length (ft) | Width (ft) | Surface | LDA (ft) |
| 02 | 12° | 11047 | 142 | ASPH | 10997 |
| 20 | 192° | 11047 | 142 | ASPH | 10997 |
Airport contact information
Address: Asuncion Paraguay



